
The revitalization of Hoboken’s northwestern edge recently took another step forward as preliminary approval was given to a modified plan that would bring more residential development to a property near the 14th Street Viaduct.
During their September 17 meeting, Hoboken’s City Council voted unanimously to approve a second amended and restated redevelopment agreement with Just Block 112 LLC. The company, a subsidiary of Pegasus Partners, is also behind a neighboring 357-unit development at 1300 Jefferson Street.

The original redevelopment deal approved by Hoboken for the parcel included that development plus a proposed long-term stay hotel at 1330 Jefferson Street. But a lawsuit filed by Pegasus threw a monkey wrench into the proceedings, as the developer alleged that Hoboken and Union City were conspiring to block the project.
After a war of words, a settlement agreement with Pegasus Partners was approved by the City Council last year. Part of the deal included converting the previously approved hotel project at 1330 Jefferson into a residential development, a point that become official with the City Council’s initial approval.

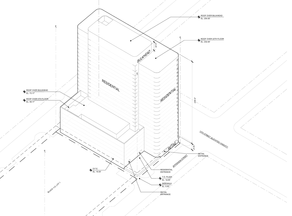
Designed by Fogerty Finger, the second phase of the project at 1330 Jefferson Street is set to include a total of 298 residential units. The spaces skew smaller, breaking down as 30 studios, 189 one-bedrooms, and 79 two-bedroom spaces.
30 affordable housing units would be included in the development, which is slated to top out at 22 stories with a smaller five-story section on the southern portion of the lot.
The development’s 1,347-square-foot retail component would front the 14th Street viaduct and is described in plans as a “cafe” space. The first four floors would feature 37 parking spaces, as would a bike room for 80 bikes.

The planned development includes several amenity spaces including a highlight sixth floor outdoor pool on the roof of the smaller portion of the property. The exterior of the development is slated to utilize mostly gray metal panels.
While the City Council’s approval of the redevelopment agreement is a major step, the project still needs to be greenlit by the city’s Planning Board before construction can begin.
Pegasus Partners has a big stake in what is Hoboken’s last development frontier besides their 1300 Jefferson Street project. Jersey Digs broke the news earlier this month about a planned 1,300-unit complex for two blocks of Madison Street that was also part of the legal settlement agreement.
Hoboken’s City Council also unanimously advanced the redevelopment agreement for the 1200 Madison Street development, making Pegasus Partners perhaps the largest player in the area’s future landscape.


